Szydłowo (gw), Dolaszewo
Szydłowo (gw), Dolaszewo
Twoje Marzenie o Domu w Dolaszewie – Spełnij Je Teraz!
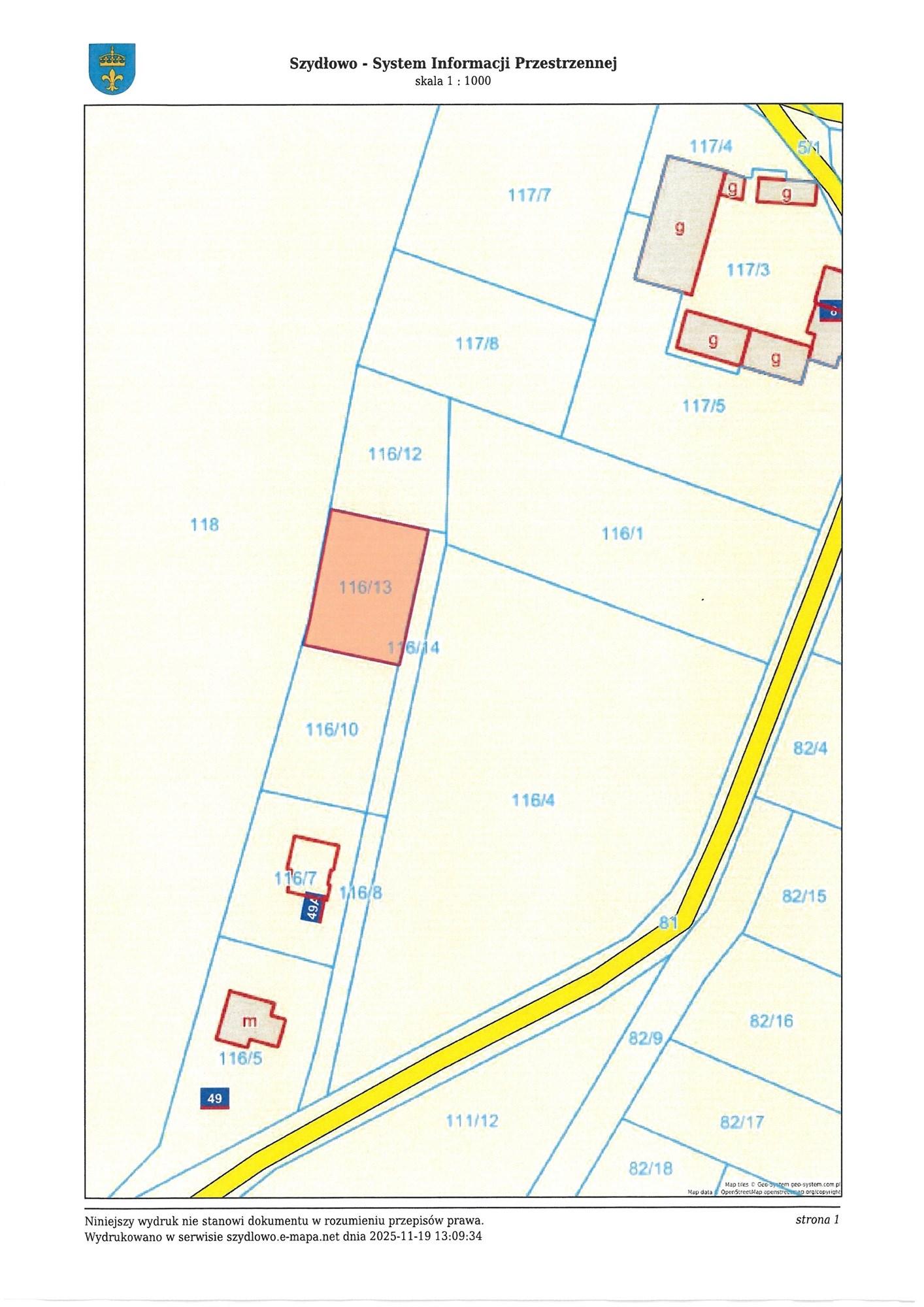
Na sprzedaż działka budowlana o powierzchni: 768 m² (własność)
Lokalizacja: Dolaszewo, tuż obok Piły
Cena: Do negocjacji
Opis:
Wyobraź sobie poranki, gdy budzisz się w swoim wymarzonym domu, otoczonym zielenią i ciszą. Ta działka to idealne miejsce, by zrealizować te marzenia! Oferujemy na sprzedaż przestronną działkę o powierzchni 768m², która czeka na Twój projekt. Decyzja o warunkach zabudowy już jest, więc możesz od razu przystąpić do działania!
Warunki zabudowy - wydane i aktualne:
- Możliwość wybudowania budynku mieszkalnego jednorodzinnego wraz z niezbędną infrastrukturą towarzyszącą
- Prąd: dostępny
- Woda: możliwość wybudowania własnej studni – niezależność i oszczędność!
- Kanalizacja: zbiornik bezodpływowy lub przydomowa oczyszczalnia ścieków – ekologia na pierwszym miejscu!
- Malownicze pola i nieliczne domy – idealne miejsce na spacery i relaks
- Cisza i spokój – doskonałe warunki do życia dla rodziny
- Droga gruntowa utwardzona – wygodny dojazd przez cały rok
- Lokalizacja: Dolaszewo, bardzo blisko Piły – szybki dojazd do miasta, a jednocześnie spokój wiejskiego życia
- Spokój i cisza: idealne miejsce do życia dla rodziny – z dala od miejskiego zgiełku
- Elastyczność w projektowaniu: szeroki zakres warunków zabudowy – dostosuj dom do swoich potrzeb
- Możliwość podzielenia działki na 2 mniejsze - wartość inwestycyjna
Zapraszamy do kontaktu i spełnienia marzeń o własnym domu!
Na sprzedaż działka budowlana w Dolaszewie blisko Piły.
Opis oferty zawarty na stronie internetowej sporządzany jest na podstawie oględzin nieruchomości oraz informacji uzyskanych od właściciela, może podlegać aktualizacji i nie stanowi oferty określonej w art. 66 i następnych K.C.